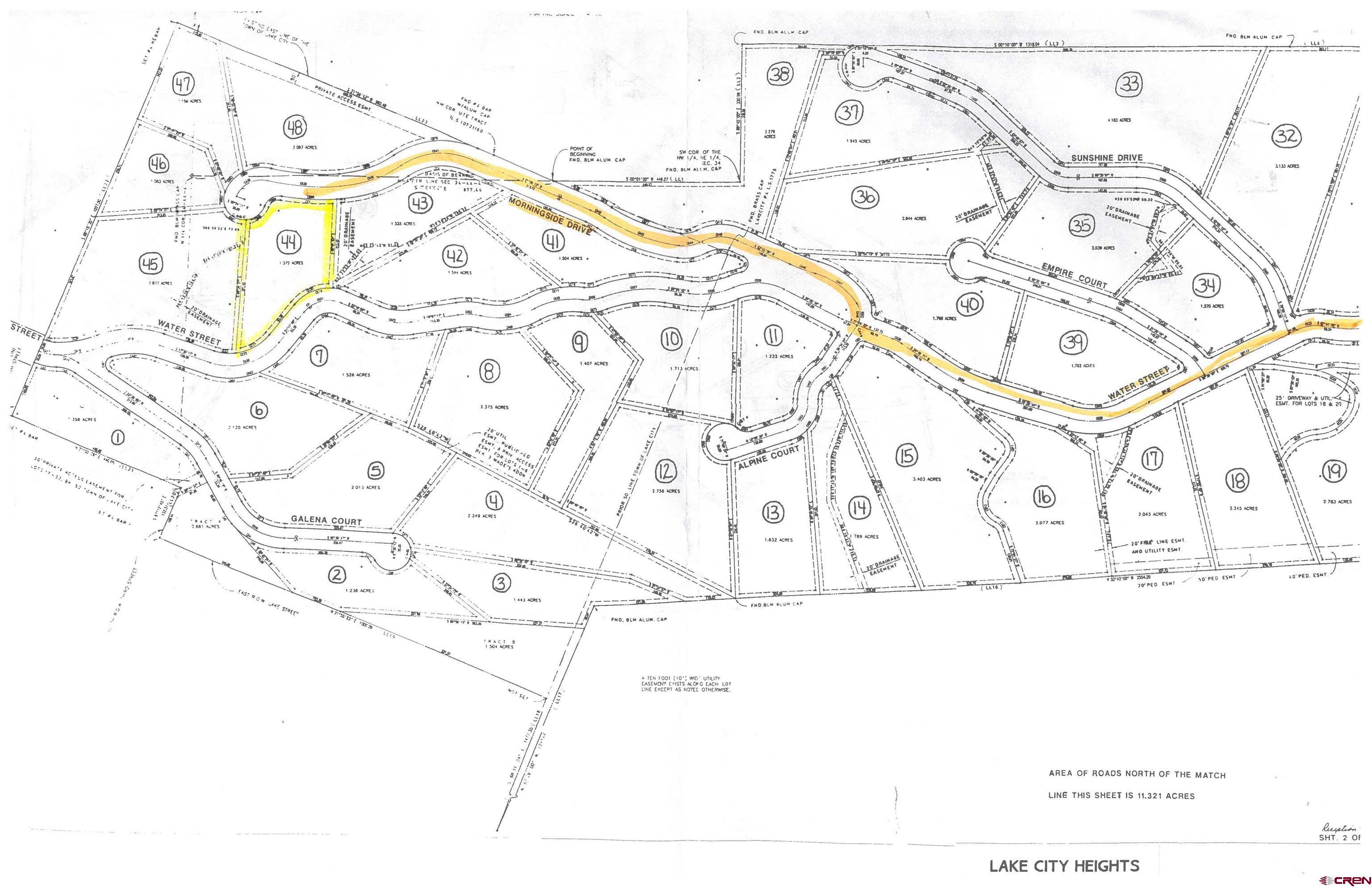
299 Morningside Drive

SALE PENDING....This 1.37+/- acre property is nicely treed with amazing views of the surrounding mountains. The property has power and phone lines as well as confirmed access to Town of Lake City water at the cul-de-sac on Morningside Drive. Engineered septic system will be required once constructing a residence. You feel like you are in the middle of the mountains, yet you are located within the Town of Lake City. Please note the Lake City Heights Subdivision does have 5 (five) Deed Restrictions on the recorded plat, however, there are NOT any covenants nor HOA. Truly a must see property to fully appreciate.

More »

Offered for $145,000
Contract Pending

299 Morningside Drive
Lake City, CO 81235

  • Acreage: 1.372
  • Subdivision: Lake City Heights
  • Taxes: $2,127
  • MLS #827282

Map

Listing courtesy of Hall Realty, Inc..

The data relating to real estate for sale on this web site comes in part from the Internet Data Exchange (IDX) program of Colorado Real Estate Network, Inc. (CREN), © Copyright 2026. All rights reserved. All data deemed reliable but not guaranteed and should be independently verified. This database record is provided subject to "limited license" rights. Duplication or reproduction is prohibited.
FULL CREN Disclaimer

Real Estate listings held by companies other than CREN contain that company’s name.
Fair Housing Disclaimer

This data was last updated: 2026-05-02 1:06pm